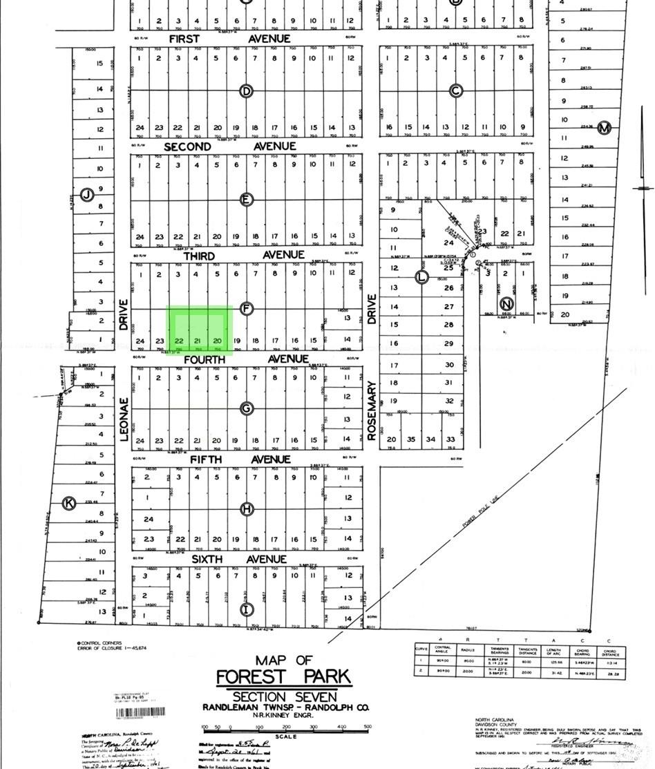
00-00 Fourth Park L20-22Randleman, NC 27317




0.70 AC RM LOT IN RANDLEMAN NC | BUILDABLE | NO HOA | MANUFACTURED OR STICK BUILT OK Build your next home or investment on this 0.70-acre residential lot in Randleman, North Carolina, located on Fourth Park Ave in Randolph County. Zoned RM (Residential Mixed), this property offers exceptional flexibility, allowing stick-built, modular, or manufactured homes, making it suitable for a wide range of buyers and housing plans. With no HOA and no deed restrictions, you maintain control over how the property is used, subject only to county regulations. Not in FEMA Zone. Utilities will require private well and septic installation, and a soil evaluation (Perc Test) will need to be done. The lot is ideal for buyers looking to build affordably while staying within commuting distance of the Triad’s major employment centers. RM zoning is one of the most versatile residential classifications in Randolph County, permitting single-family homes and manufactured housing, which adds long-term value and resale flexibility. Whether you’re an owner-builder, investor, or looking for a future homesite, this zoning allows multiple residential options not available in more restrictive districts. The location offers convenient access to Randleman, Asheboro, Greensboro, and High Point, while still maintaining a residential neighborhood feel. The area continues to see steady growth driven by affordability, proximity to jobs, and demand for flexible housing options. No floodplain. No HOA. No restrictive covenants. A rare opportunity to secure a buildable RM-zoned lot in an increasingly competitive Randolph County market. Buyer to verify zoning, intended use, soil suitability, setbacks, and utility requirements with Randolph County. LOCATION & DISTANCES Major Cities (Approximate Driving Distance) Asheboro, NC – 10 miles High Point, NC – 16 miles Greensboro, NC – 20 miles Winston-Salem, NC – 38 miles Major Airports Piedmont Triad International Airport (GSO) – 24 miles Smith Reynolds Airport (INT – Winston-Salem) – 40 miles Raleigh-Durham International Airport (RDU) – 73 miles Charlotte Douglas International Airport (CLT) – 88 miles Major Attractions North Carolina Zoo (Asheboro) – 12 miles Greensboro Science Center – 22 miles High Point Furniture Market District – 17 miles Wet ’n Wild Emerald Pointe (Greensboro) – 26 miles
| 2 hours ago | You viewed this listing | |
| 4 hours ago | Listing first seen on site | |
| 4 hours ago | Listing updated with changes from the MLS® |
Listings courtesy of Canopy MLS as distributed by MLS GRID. Based on information submitted to the MLS GRID as of {last_incremented_at}. All data is obtained from various sources and may not have been verified by broker or MLS GRID. Supplied Open House Information is subject to change without notice. All information should be independently reviewed and verified for accuracy. Properties may or may not be listed by the office/agent presenting the information. Some IDX listings have been excluded from this website. Properties displayed may be listed or sold by various participants in the MLS. ©2026 Canopy MLS.
The Digital Millennium Copyright Act of 1998, 17 U.S.C. § 512 (the “DMCA”) provides recourse for copyright owners who believe that material appearing on the Internet infringes their rights under U.S. copyright law. If you believe in good faith that any content or material made available in connection with our website or services infringes your copyright, you (or your agent) may send us a notice requesting that the content or material be removed, or access to it blocked. Notices must be sent in writing by email to [email protected]. “The DMCA requires that your notice of alleged copyright infringement include the following information: (1) description of the copyrighted work that is the subject of claimed infringement; (2) description of the alleged infringing content and information sufficient to permit us to locate the content; (3) contact information for you, including your address, telephone number and email address; (4) a statement by you that you have a good faith belief that the content in the manner complained of is not authorized by the copyright owner, or its agent, or by the operation of any law; (5) a statement by you, signed under penalty of perjury, that the information in the notification is accurate and that you have the authority to enforce the copyrights that are claimed to be infringed; and (6) a physical or electronic signature of the copyright owner or a person authorized to act on the copyright owner’s behalf. Failure to include all of the above information may result in the delay of the processing of your complaint.
Last checked - 2026-02-02 12:35 PM UTC
Did you know? You can invite friends and family to your search. They can join your search, rate and discuss listings with you.